:host { --enviso-primary-color: #FF8A21; --enviso-secondary-color: #FF8A21; font-family: 'boijmans-font', Arial, Helvetica,sans-serif; } .enviso-basket-button-wrapper { position: relative; top: 5px; } .enviso-btn { font-size: 22px; } .enviso-basket-button-items-amount { font-size: 12px; line-height: 1; background: #F18700; color: white; border-radius: 50%; width: 24px; height: 24px; min-width: 0; display: flex; align-items: center; justify-content: center; text-align: center; font-weight: bold; padding: 0; top: -13px; right: -12px; } .enviso-dialog-content { overflow: auto; } Previous Next Facebook Instagram Twitter Pinterest Tiktok Linkedin Back to top
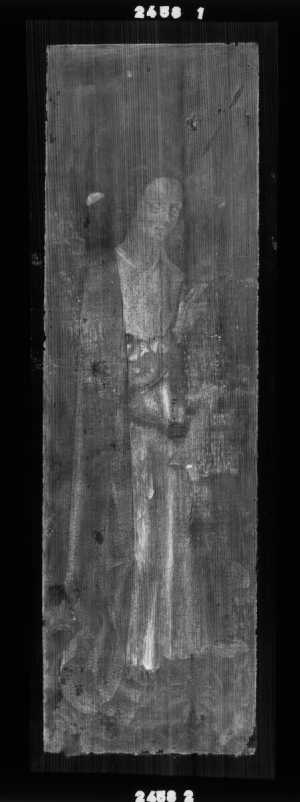
Johannes de Evangelist

Vraag maar raak

Laden...

Bedankt, je vraag is verzonden.

Helaas, er is iets mis gegaan met het verzenden van je vraag. Probeer het aub nog eens.

High-res beeldmateriaal aanvragen

Meer informatie

Deze zeldzame paneeltjes van de 15de eeuwse Duitse meester Stefan Lochner zijn de zijluiken van een klein triptiek, waarvan het middenpaneel onbekend is. Van Lochner zijn slechts twintig werken bekend. Johannes de evangelist en Maria Magdalena zijn herkenbaar aan hun attributen: de kelk en de zalfpot.

Lees verder Lees minder

Collectieboek

Collectieboek Bestellen

Specificaties

Titel Johannes de Evangelist
Materiaal en techniek Olieverf op paneel
Objectsoort
Schilderij > Schildering > Tweedimensionaal object > Kunstvoorwerp
Locatie Dit object is in het depot
Afmetingen Breedte 14,8 cm
Hoogte 45 cm
Makers Schilder: Stefan Lochner
Inventarisnummer 2458 (OK)
Credits Verworven met de verzameling van D.G. van Beuningen, 1958
Collectie Oude Kunst
Verwervingsdatum 1958
Vervaardigingsdatum in 1445 - 1450
Verzamelaar D.G. van Beuningen
Interne tentoonstellingen De Collectie Verrijkt (2011)
De collectie als tijdmachine (2017)
Externe tentoonstellingen Van Eyck tot Dürer (2010)
Boijmans bij de Buren - REMIX ROTTERDAM, Boijmans X Wereldmuseum (2020)
Literatuur Duitse en Franse schilderkunst uit de 15e en 16e eeuw - 11 (afb kleur) Catalogus schilderijen tot 1800 <1962> - 79 T.-H. Borchert et al. (eds.), exh. cat. Van Eyck tot Dürer. De Vlaamse Primitieven & Centraal-Europa 1430-1530, Brugge (Groeningemuseum) 2010, pp. 255-256, cat. 100 (tekst Julien Chapuis); K. von Baum et al., Let the material talk. Technology of late-medieval Cologne panel painting, Keulen & München 2014, p. 21.
Materiaal
Object
Geografische herkomst Duitsland > West-Europa > Europa

Alles over de maker

Stefan Lochner

Meersburg circa 1410 - Keulen 1451

Het geboortejaar van Stefan Lochner is niet bekend. Hij werkte in Keulen vanaf 1442 en overleed in 1451. Lochner is de bekendste meester van de Keulse school en...

Bekijk het volledige profiel